2015.9-2024.1改定

 

 

 


File number 026

月面にある謎の物体

アポロ11号が1969年7月20日に月面着陸して以降、有人月面着陸捏造説をはじめ、さまざまな謎を落としてきた。
アポロ11号の月面着陸捏造説は別の機会にして、今回は月面にある不思議なもの・・・・?


ルナ・オービタ

アポロ11号の有人探査以前から、月にある文明の跡をNASAは知っていたという。

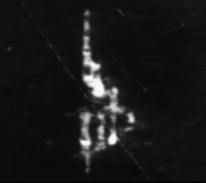
ルナ・オービタ3号が撮影した謎の建造物。
「シャドー」と命名されたタワーで、推定高さは約1600m。

アポロ10号が撮影した「キャッスル」と呼ばれる構造物。

1969年ルイアームストロングが撮影したとされる月面のエイリアンの遺跡内。
 https://www.youtube.com/watch?v=01pGF8nrlMY

アポロ計画は17号で突然終了した。
その後、長期宇宙滞在を主とするスカイラブ計画にかわり、 1975年 7月、アメリカはソビエト連邦(ロシア)と共同で、ソビエト連邦の宇宙船ソユーズ19号とランデブーとドッキングに成功。
その裏で、アポロ計画は密かにアポロ20号まで続けられていた。

極秘計画のアポロ20号は、アポロ15号が月面で発見した廃墟などの探査を 、アメリカとロシアの合同作戦で進めたといわれている。

アポロ20号の任務についたのは元ベル研究所のウィリアム・ラトリッジ、元ベル研究所のレオナ・スナイダー、元ソビエト連邦宇宙飛行士のアレクセイ・レオーノフの3名。
目的地はDelporte Craterの南西にあるIszak D。
アポロ15号が発見した巨大な物体を調査するためだった。
彼らはそこで巨大な太古の宇宙船(長さ2.5マイル)を発見。
その宇宙船の近くで、小さい宇宙船と都市の遺跡も発見した、そこには宇宙ゴミ、金属の部品や破片が散乱していたという。

着陸前の軌道上で低空飛行から撮った大な宇宙船。

古代の都市遺跡。

巨大宇宙船から2名のパイロットの遺体を発見し回収した。
パイロットの1名は女性で、モナリザと名づけられ、遺体の保存状態は良好だった。
残り1名は男性で、遺体の損傷がひどく、首だけを回収したという。

両目と指には操縦用装置が固定され、衣服は着用していなかった。
髪と皮膚は透明な保護層で保護されていた。
鼻に接続してあった2本のケーブルと、両目に接続された操縦用装置を外すと血液か、生物の液の凝固が口、鼻、目、体のいくつかの部分から噴出して凍結していたという。

 

1996年3月、ワシントンでの記者会見で、ジョンソン宇宙センターに勤務するケネディ・ジョンストンが「宇宙飛行士たちは月面に存在する遺跡、つまり透明なピラミッドやクリスタル質のドームなどをその目で見ている。」と発言した。

ソビエト連邦(ロシア)も、月面調査によって月の人工的な構造物を確認しており、2002年10月5日のロシア共産党機関紙・プラウダに 「月面で都市が発見される!地球外文明が活動している様子が、この地球に最も近い隣の衛星・月で確認されたが、この情報はすぐに超機密情報とされた。
人類の社会全体を混乱させるような信じられない事実であり、我々人類にそのことを受け入れる心の準備がまだ出来ていないからである。」という記事が掲載された。

1976年8月、アメリカとロシアの合同作戦の映像。
 https://www.youtube.com/watch?v=AWK6DhsPH2Y

アポロ20号の情報は、NASAを退職して現在アフリカに住んでいるウィリアム・ラトリッジが出所だという。
これらの情報では「アポロ20号」のミッションが真実かどうは判断できない。

 

■低空飛行で撮影した宇宙船、シャープに映し出されている・・凄い!!

しかし、ちょっと待った!
NASAオリジナル画像はどうなんだ・・・? ということで、公式画像のあるサイトLunar and Planetary Institute の画像が「Apollo Image Atlas AS15-M-1720」

https://www.lpi.usra.edu/resources/apollo/frame/?AS15-M-1720

右上の赤丸の中がそれ・・・拡大すると。

これが、あたかも宇宙船のように加工され、カラー版や動画がネット上にばらまかれたわけだ。

関連して、アポロ20号の「アポロ15号が月面で発見した廃墟などの探査を 、アメリカとロシアの合同作戦で進めた」という話も、モナリザも嘘になる。

そして、2007年YouTubeで公開された一連のビデオは作り物ということがわかった。
フランスの彫刻家でビデオアーティストのティエリー・スペス氏は、2007年7月9日、Need2Know.euフォーラムでデマの背後にいる事を認めた。
その動画がこちらだ。

動画URL→ 

ティエリー・スペス氏はインタビューの中で、月の裏側で地球外文明の遺跡を発見したとされるアメリカとソ連の月探査計画に関する、2007年にYouTubeで公開された一連のビデオによって行われたデマだと答えている。

さらに、Apollo 20, the Unknown Mission: Memories of the Commander of the mission, William Rutledge (Apollo 19, 20 and 21)
「アポロ 20 号、未知のミッション: ミッション司令官ウィリアム・ラトリッジの思い出」著者ティエリー・スペス というSF小説がある。

内容は、1971年に起こったアポロ15号のミッションで撮影された写真によって、月の裏側に墜落した巨大な宇宙船が発見されたという設定で物語が展開される。
アメリカとロシアが協力して、この巨大な宇宙船を探索するためにミッションを行うと言った物語である。
現代の宇宙飛行の現実に根ざした非常に堅固なSF小説であると評価されている。

元宇宙飛行士のウィリアム・ラトリッジなる人物は実際には存在せず、月の裏側で地球外文明も月のモナリザもSF小説の中の話だった。

ティエリー・スペス氏のサイトURL
https://www.deviantart.com/thierryspeth


 

●月面で発見されたさまざまな構造物

アームストロング
 「あっ、おい、あれはいったい何だ?!」

月司令船
 「おい、どうしたんだ。何があったんだ。詳しく知らせろ。」

管制室
 「こちらヒューストン。アポロ11号応答せよ。」(数回繰り返される)

アームストロング
 「ここのベビーたちはどれも巨大だ。
バカでかい。
なんてことだ!信じられないことだ!
私は向う側に別な宇宙船たちがいることをそちらに報告している。
クレーターの縁にずらっと並んでいるんだ。
彼らは月面上で我々を監視している。」

 

アポロ20号の話は創作だったが・・・

しかし、月には何かがいる!